A Beautifully Timbered Tract With Endless Potential
New
Media
Summary
Property
- Type
- Recreational Land, Hunting Land
- Road Frontage
- County Road
- Road Surface
- Blacktop/Asphalt
Land Details
- Timber
Approximate Distances
| 4.5 miles | to Magnolia, MS |
Utilities
| Electric: | Nearby |
Features/Improvements
- Creek/Spring
- Food Plot
Description
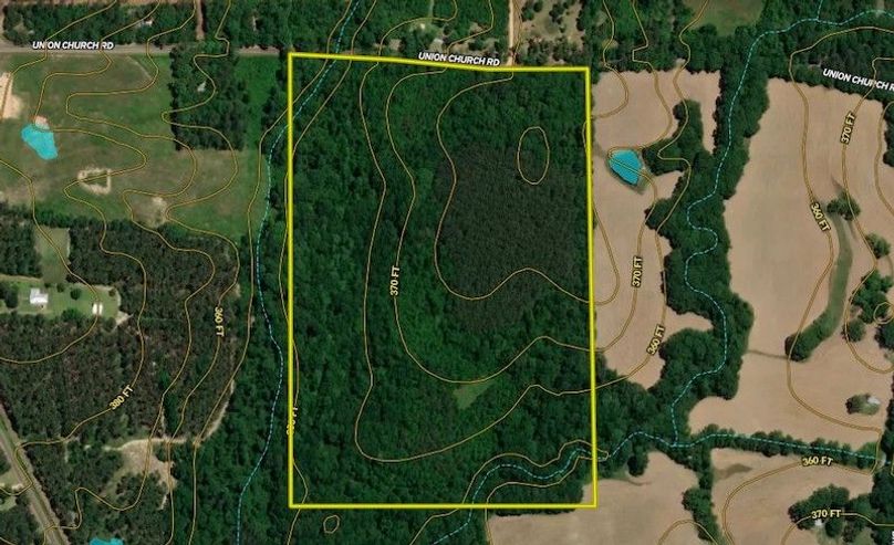
If you’ve been searching for a well-timbered property with mature hardwoods and merchantable pine, this is one you don’t want to miss. This tract offers outstanding potential as a recreational getaway, hunting property, or future homesite. The land features excellent topography with good drainage and no steep hills or hollows - making it easy to navigate and ideal for building. Two established driveways connect directly to the county asphalt road, each leading through a stand of gorgeous hardwoods that would make a stunning setting for a home or cabin. An interior road system winds throughout the property, providing convenient access to every corner. A large food plot, currently overgrown, could be quickly reclaimed and replanted, and there are multiple additional spots along the interior roads that would make great stand or food plot locations. A seasonal creek runs along the western boundary, adding water and habitat diversity. Located only minutes from Magnolia and about 15–20 minutes north of the LA state line, this property offers both quiet seclusion and easy access to the co-op and all the amenities of town. If you’re ready for a break from pine plantations and want a tract with character and quality timber, give us a call!
For more information, call Larry Stewart @985.320.9112 or Trey Keith @601.653.2250
Details
-
County blacktop road frontage with power available
-
Mature stand of hardwood and pine timber
-
Gentle topography with good drainage and easy access
-
Excellent interior road system
-
Has small creek running along the western boundary
Other
Coordinates
31.14326, -90.37672
Annual Taxes
$264
The information contained herein is deemed reliable but is not warranted or guaranteed by the Broker, its Agents, or the Seller. Access to property, access to utilities, or any measurements including but not limited to, acreage, square footage, frontage, and mapping boundary lines shared herein has not been independently verified and is for purposes of marketing only. If exact measurements, access to property, or access to utilities is a concern, the property should be independently measured or investigated by the prospective buyer.
COOPERATING BROKER COMPENSATION: Please contact Listing Agent/Broker for terms of cooperating Buyer Broker compensation. Terms of compensation, if any, shall be ascertained by cooperating brokers before beginning efforts to accept the offer of cooperation. Buyer’s Agents/Brokers must be identified, by Buyers and/or their Brokers/Agents, on the first contact with Listing Broker/Agents to receive compensation. Otherwise, compensation will be at the sole discretion of the Seller, Broker, and Whitetail Properties Real Estate, LLC.
Real Estate Commissions and Cooperating Broker Compensation, if any, are fully negotiable and is not fixed or controlled by law, by Whitetail Properties Real Estate, LLC (or any division/trade name/DBA of), or its Agents/Brokers.