Country Home With Pond, Hunting Land And State Forest Access
New
Media
Summary
Property
- Type
- Residential Land
- Outbuildings
- Garage
Approximate Distances
| 3.24 mi | to Allegheny Reservoir |
| 7.4 mi | to Frewsburg |
| 2.5 mi | to PA Line |
| 0.10 mi | to South Valley State Land |
Utilities
| Electric: | Onsite |
| Water: | Onsite |
| Propane: | Onsite |
Housing
Home
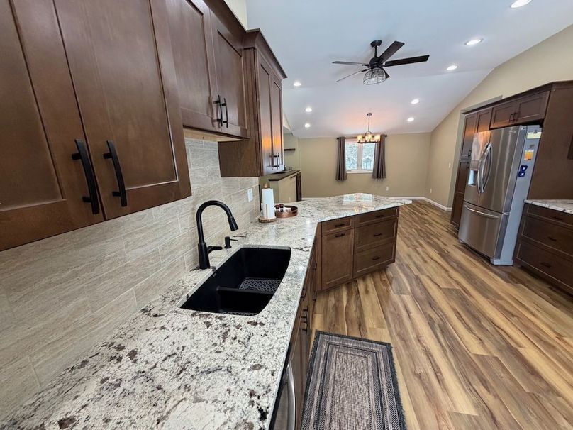
2BD / 2BA 1740± sqft Built in 1971Features/Improvements
- Small Game
- Big Game
- Food Plot
- Seller's Mineral Rights Convey
Description
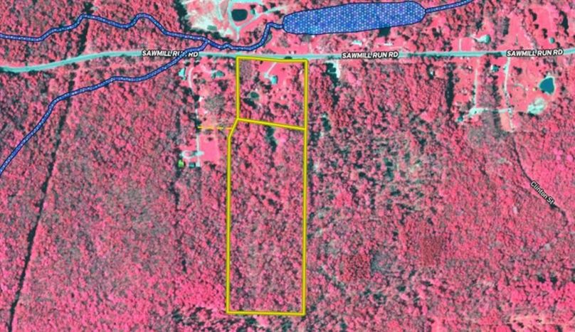
We are pleased to present a true Cattaraugus County country living gem, offering privacy, recreation and a move-in-ready home set in a peaceful rural setting. Comprised of two parcels, this expansive property provides exceptional outdoor opportunity right out your back door, making it especially attractive to hunters, nature lovers and those seeking a quieter lifestyle. A long, private driveway leads to the home, which is elevated on a hillside and complemented by an even higher pond offering scenic northern views. The wooded acreage consists primarily of mixed hardwoods and hemlock, with a food plot already in place, ideal for deer hunting and wildlife observation. The 1,740 sq ft home was originally built in 1971 and completely reconstructed and updated in 2020, creating a worry-free primary residence or country retreat. Inside, the 2-bedroom, 2-bathroom layout features LVP and carpet flooring, granite countertops, well appointed stainless steel appliances, elevated ceilings, recessed and fan lighting and modern finishes throughout. Major improvements include a new well, septic system, windows, roof, Trex deck, on-demand water heater, LP forced-air furnace, central A/C and spray foam insulation, offering comfort and efficiency year-round. Outdoor living is enhanced by covered porches and decks, with additional storage provided by a utility shed. With approximately 503 feet of road frontage, a large and deep parcel and close proximity to the Town of Frewsburg, this property balances seclusion with convenience. Located just minutes from the Allegany Reservoir and the Onoville Marina, boating and fishing are easily accessible. An additional 4,227 acres of South Valley State Forest is less than a quarter mile from your door. Whether you’re looking to relocate, work remotely, enjoy hunting and recreation, or simply relax in the quiet hills of Cattaraugus County, this property delivers the complete country lifestyle experience. ADDITIONAL INFORMATION: Timber and GMO rights convey, Pond, NEW Remodeled updates. 3.24 miles to Allegany Reservoir, 7.4 miles to Frewsburg, 2.5 miles to PA Line, .10 miles to South Valley State land, Taxes $2,286 (2025) Buyer agent must be present on all showings. Do not send clients out without accompanying them. Disclaimer: Map illustrations are for reference purposes only and not the representations of the Listing agent or brokerage. Illustrations are provided by Land ID. Parties should be advised to confirm Illustrations with licensed professional service providers.
Details
-
Two parcels offering privacy and recreational opportunity
-
1,740-square-foot home rebuilt and updated in 2020
-
Two bedrooms and two full bathrooms
-
Pond situated above the home with scenic northern views
-
Mixed hardwood and hemlock woods with food plot in place
-
Long private driveway and approximately 503 feet of road frontage
-
New well, septic, roof, windows, HVAC and spray foam insulation
-
Close to Allegany Reservoir, Onoville Marina and state forest land
-
Timber and GMO rights convey
-
Buyer agent must be present on all showings, please do not send clients out without accompanying them
-
NYS MATRIX MLS #R1660643
Area Info
Other
Coordinates
42.04055, -79.029
Annual Taxes
$2,288
The information contained herein is deemed reliable but is not warranted or guaranteed by the Broker, its Agents, or the Seller. Access to property, access to utilities, or any measurements including but not limited to, acreage, square footage, frontage, and mapping boundary lines shared herein has not been independently verified and is for purposes of marketing only. If exact measurements, access to property, or access to utilities is a concern, the property should be independently measured or investigated by the prospective buyer.
COOPERATING BROKER COMPENSATION: Please contact Listing Agent/Broker for terms of cooperating Buyer Broker compensation. Terms of compensation, if any, shall be ascertained by cooperating brokers before beginning efforts to accept the offer of cooperation. Buyer’s Agents/Brokers must be identified, by Buyers and/or their Brokers/Agents, on the first contact with Listing Broker/Agents to receive compensation. Otherwise, compensation will be at the sole discretion of the Seller, Broker, and Whitetail Properties Real Estate, LLC.
Real Estate Commissions and Cooperating Broker Compensation, if any, are fully negotiable and is not fixed or controlled by law, by Whitetail Properties Real Estate, LLC (or any division/trade name/DBA of), or its Agents/Brokers.