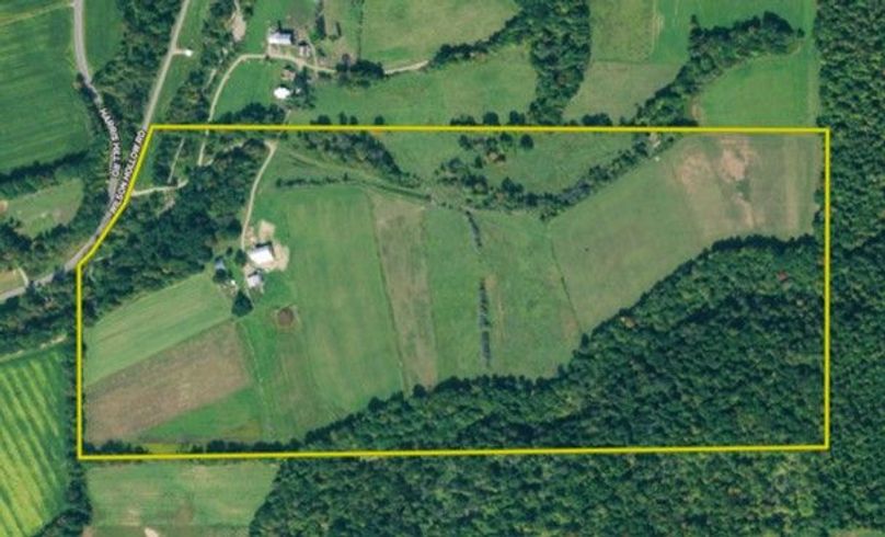
Charming Farmhouse On 100 Acres With Barns In Falconer
Media
Summary
Property
- Type
- Farms, Residential Land, Hunting Land
- Road Frontage
- County Road
- Road Surface
- Blacktop/Asphalt
- Fencing
- Low Fence
- Outbuildings
- Barn
Land Details
- Pasture
- Tillable
- Hay
Utilities
| Electric: | Onsite |
| Gas: | Onsite |
| Sewer: | Onsite |
| Water: | Onsite |
Housing
Home
5BD / 1BAFeatures/Improvements
- Small Game
- Big Game
- Upland Game
- Creek/Spring
- Seller's Mineral Rights Convey
Description
PRICE REDUCED! Whitetail Properties is pleased to present a charming Amish farm on 100 acres in Falconer with views and a new barn. This 1910 country farmhouse is a modern home with electricity and forced air heat on-site, needing only to be turned back on. The home has five bedrooms and a bathroom with a large open-style kitchen/dining room complete the interior living space. The house has all oak window trims and casing, and the room moldings are heavy with the same matching oak finishes. Hardwood floors are throughout the main living area and kitchen, needing a little TLC to bring them back to shine. A new 60 x 68 (2017) barn with an icehouse (8 x 10) and the loft was built for livestock and hay that is the sister building to the original 32 x 36 (1995) barn. Both barns have large lean to's. The new barn has a 21 x 38 lean-to, while the original barn has a 24 x 40 lean-to. A 12 x 50 Silo (2018), a 12 x 16 (2016) tool shed, and a chicken coop also accompanies the farm as another pair of outbuildings for the country lifestyle. Upon approach, the farm is up a shared driveway on top of a hill giving pretty views west for sunsets. The rest of the property is beautifully laid out in a series of hay-producing fields and pasture with a southwest corner woods that has a creek running through it, holding a good deer population. The entire property is fenced with 2, 3, or 4 wire barbed wire fences, and each of the pastures are divided. Close to Falconer and Jamestown, all of your retail conveniences are just a few miles away. Priced well to sell, check this farm out!
The information contained herein is deemed reliable but is not warranted or guaranteed by the Broker, its Agents, or the Seller. Access to property, access to utilities, or any measurements including but not limited to, acreage, square footage, frontage, and mapping boundary lines shared herein has not been independently verified and is for purposes of marketing only. If exact measurements, access to property, or access to utilities is a concern, the property should be independently measured or investigated by the prospective buyer.
COOPERATING BROKER COMPENSATION: Please contact Listing Agent/Broker for terms of cooperating Buyer Broker compensation. Terms of compensation, if any, shall be ascertained by cooperating brokers before beginning efforts to accept the offer of cooperation. Buyer’s Agents/Brokers must be identified, by Buyers and/or their Brokers/Agents, on the first contact with Listing Broker/Agents to receive compensation. Otherwise, compensation will be at the sole discretion of the Seller, Broker, and Whitetail Properties Real Estate, LLC.
Real Estate Commissions and Cooperating Broker Compensation, if any, are fully negotiable and is not fixed or controlled by law, by Whitetail Properties Real Estate, LLC (or any division/trade name/DBA of), or its Agents/Brokers.
Sold Property
For more information or to see additional properties currently for sale see Paul Vaicunas' listings.