Prime Vacant Land In South Stockton, Tillable Acreage, Building Lot
Reduced
Media
Summary
Property
- Type
- Recreational Land, Residential Land, Undeveloped Land, Hunting Land
Land Details
- Tillable
Approximate Distances
| 2.4 mi | to Sinclairville |
| 5.4 mi | to Stockton |
Utilities
| Electric: | Nearby |
Features/Improvements
- Small Game
- Big Game
- Upland Game
- Seller's Mineral Rights Convey
Description
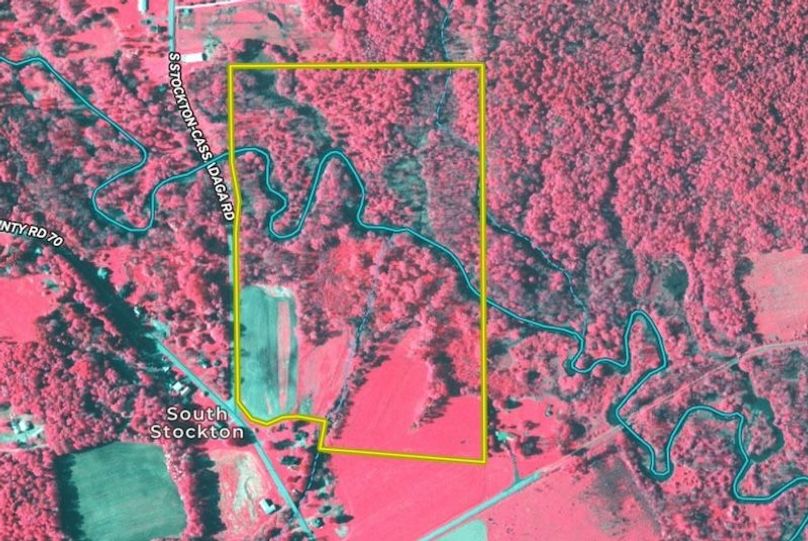
PRICE REDUCED! Discover the perfect blend of open space and location on this level, vacant land in South Stockton, NY. Spanning a generous acreage with tillable fields, this property offers endless possibilities for farming, recreation, or building your dream home. Whether you're looking to cultivate crops, start a building project, or simply enjoy the outdoors, this land provides a solid foundation for your vision. A prime building lot opportunity awaits, allowing you to create a custom home or getaway retreat in a peaceful country setting. Cassadaga Creek meanders through the property, enhancing the land's natural charm. The wooded portions provide privacy, shade, and an inviting habitat for local wildlife. For outdoor enthusiasts and hunters, the seller reports excellent deer hunting, making this a rare find for those seeking a private hunting retreat. The combination of open fields, wooded terrain, and water sources creates an ideal environment for deer and other game. Conveniently located in Stockton, NY, this property offers the perfect balance of productive farm fields, a recreational escape, or a forever home; this land is ready to bring your dreams to life. ADDITIONAL INFORMATION: GMOs and Timber rights convey, Electric at the road, Creek, Building locations, 2.4 miles to Sinclairville, 5.4 miles to Stockton,. Taxes (2024) $1,389, Sold AS IS. Buyer agents must be present on all showings; Do not send clients out without accompanying them. Disclaimer: Map illustrations are for reference purposes only and not the representations of the Listing Agent or brokerage Whitetail Properties Real Estate LLC. Illustrations are provided by Land ID. Parties should be advised to confirm Illustrations with licensed professional service providers.
Details
-
GMOs and timber rights convey
-
Possibilities for farming, recreation, or home building
-
Cassadaga Creek runs through the property
-
Excellent deer hunting
-
966 Frontage
-
SOLD AS IS
-
Buyer agents must be present on all showings; Do not send clients out without accompanying them
-
MLS #11455454
Other
Coordinates
42.24647, -79.31212
Annual Taxes
$1,389
The information contained herein is deemed reliable but is not warranted or guaranteed by the Broker, its Agents, or the Seller. Access to property, access to utilities, or any measurements including but not limited to, acreage, square footage, frontage, and mapping boundary lines shared herein has not been independently verified and is for purposes of marketing only. If exact measurements, access to property, or access to utilities is a concern, the property should be independently measured or investigated by the prospective buyer.
COOPERATING BROKER COMPENSATION: Please contact Listing Agent/Broker for terms of cooperating Buyer Broker compensation. Terms of compensation, if any, shall be ascertained by cooperating brokers before beginning efforts to accept the offer of cooperation. Buyer’s Agents/Brokers must be identified, by Buyers and/or their Brokers/Agents, on the first contact with Listing Broker/Agents to receive compensation. Otherwise, compensation will be at the sole discretion of the Seller, Broker, and Whitetail Properties Real Estate, LLC.
Real Estate Commissions and Cooperating Broker Compensation, if any, are fully negotiable and is not fixed or controlled by law, by Whitetail Properties Real Estate, LLC (or any division/trade name/DBA of), or its Agents/Brokers.