Secluded Property With Cabin, Barn, Pond Trails And Pastures In Falconer NY
Media
Summary
Property
- Type
- Recreational Land, Residential Land, Hunting Land
- Fencing
- Low Fence
- Outbuildings
- Metal, Barn
Land Details
- Tillable
- Grass
- Hay
- Pond
Approximate Distances
| 2.8 mi | to Little Valley |
| 2.4 mi | to Cattaraugus |
| 3.6 mi | to Falconer |
| 5.4 mi | to Jamestown |
| 7.8 mi | to Randolph |
Utilities
| Electric: | Nearby |
Features/Improvements
- Small Game
- Big Game
- Food Plot
- Tree Stands/Blinds
- Trail Network
- Gated Entrance
- Seller's Mineral Rights Convey
Description
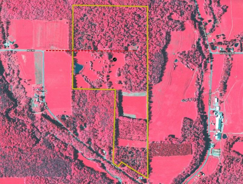
We are pleased to present a hidden gem property with all the makings of multiple uses of hunting, recreation, building, and farming. Just minutes east of Jamestown between Falconer and Kennedy, NY, this property is nicely tucked away on the higher elevation portion of Mee road. This property is largely constructed of 60 acres of woods, with pines and hardwoods with 39 acres of tillable/pasture ground comprising three main fields. Although there is road frontage on Mee road, the access is convenient on a deeded right of way that was once an old town road. The road leads to a gated entrance and ends at the cabin. Along the road a large metal barn and building lot will present themselves on the north side of the road and a pond is on the south side of the road for a second building location. Either spot is perfect for a camper trailer if building is not in your plans. The cabin is a two room building where many hunts and holidays weekends have been enjoyed. A groomed yard with planted trees is also a part of the cabin area. The property exhibits signs of a large population of deer, with multiple trails and access throughout the property via ATV. There are 10 hunting blinds included in this sale and they are all strategically located overlooking fields, pine groves and transition areas for success. The fields are currently in pasture and hay, but any one of them can be improved with a food plot and are easily accessed from the main roads coursing through the property. There is one gas well on the property and GMO's will convey to the purchaser. Priced well to sell, call us today! ADDITIONAL INFORMATION: GMO's convey, Cabin, Deer hunting, 10 blinds, Fields, Food plots, Pond, ATV trail access, Barn, Building lots, Electric at the road, no wetlands, Views, Taxes TBD, 2.8 miles to Little Valley, NY, 2.4 miles to Cattaraugus, NY, 3.6 miles to Falconer, NY, 5.4 miles to Jamestown, NY, 7.8 miles to Randolph, Sold AS IS.
Details
-
GMO's convey
-
Cabin, Deer hunting, 10 blinds, Fields, Food plots, Pond, ATV trail access
-
Barn, Building lots, Electric at the road, no wetlands
-
MLS #11284915
Other
Coordinates
42.14803, -79.13538
The information contained herein is deemed reliable but is not warranted or guaranteed by the Broker, its Agents, or the Seller. Access to property, access to utilities, or any measurements including but not limited to, acreage, square footage, frontage, and mapping boundary lines shared herein has not been independently verified and is for purposes of marketing only. If exact measurements, access to property, or access to utilities is a concern, the property should be independently measured or investigated by the prospective buyer.
COOPERATING BROKER COMPENSATION: Please contact Listing Agent/Broker for terms of cooperating Buyer Broker compensation. Terms of compensation, if any, shall be ascertained by cooperating brokers before beginning efforts to accept the offer of cooperation. Buyer’s Agents/Brokers must be identified, by Buyers and/or their Brokers/Agents, on the first contact with Listing Broker/Agents to receive compensation. Otherwise, compensation will be at the sole discretion of the Seller, Broker, and Whitetail Properties Real Estate, LLC.
Real Estate Commissions and Cooperating Broker Compensation, if any, are fully negotiable and is not fixed or controlled by law, by Whitetail Properties Real Estate, LLC (or any division/trade name/DBA of), or its Agents/Brokers.