113± Acre Hunting And Timber Tract With Road Frontage
Media
Summary
Property
- Type
- Recreational Land, Timberland, Undeveloped Land, Hunting Land
- Road Frontage
- County Road
- Road Surface
- Gravel
Land Details
- Timber
Approximate Distances
| 2 mi | to Great Chazy River |
| 8 mi | to Lewis Preserve |
| 10 mi | to Cadyville State Forest |
| 12 mi | to North Country Golf Club |
Features/Improvements
- Small Game
- Big Game
- Wetlands
- Trail Network
Description
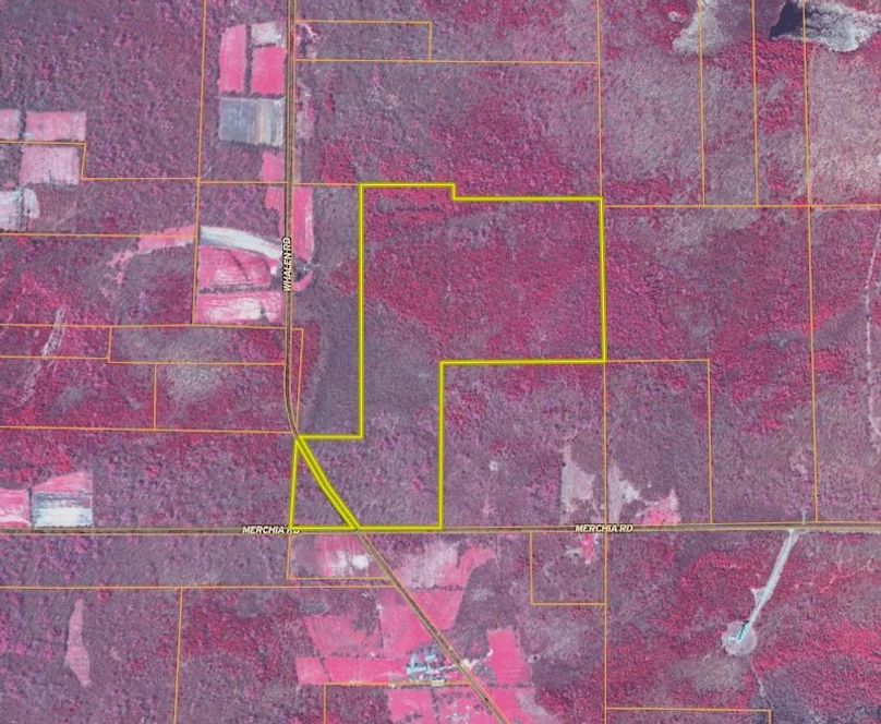
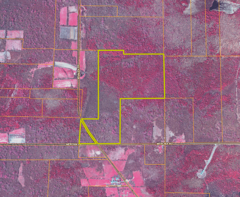
Nestled in the heart of Clinton County, this 113± acre recreational tract offers a rare combination of quality deer habitat, timber, and income potential. Situated along both Whalen Road and Merchia Road (GPS: 44.96705, -73.9831), this diverse property features a mix of hardwoods, wetlands, and upland cover ideal for whitetail hunting and outdoor adventure.
With approximately 973 feet of frontage on one side of Whalen Road and 922 feet on the other, plus an additional 1,276 feet along Merchia Road, this tract provides excellent access and potential for future development or division. There is no maintenance on this section of these roads from December to April. An old ATV trail system winds through portions of the property, making it easy to navigate and enjoy year-round. Evidence of a former campsite exists, providing a promising location to build your own hunting cabin or rustic getaway.
The land was last selectively logged over 25 years ago and holds a healthy stand of poplar, ash, maple, and birch, offering some potential timber value and natural regeneration. Wetland areas provide diversity and important habitat, drawing and holding wildlife throughout the seasons. Deer sign is abundant, with well-worn trails and bedding areas visible across the property, making this a proven hunting location for serious sportspeople.
Adding further value, the land possibly could be added to a wind energy program, which generates annual income that helps offset property taxes — a unique and attractive feature for investors and long-term landholders.
Whether you're seeking a productive hunting parcel or a peaceful retreat with room to roam, this tract delivers. Its combination of seclusion, access, natural resources, and income potential makes it a true gem in New York's North Country.
Details
-
Timber
-
Road Frontage
Area Info
Other
Coordinates
44.96705, -73.9831
Annual Taxes
$823
The information contained herein is deemed reliable but is not warranted or guaranteed by the Broker, its Agents, or the Seller. Access to property, access to utilities, or any measurements including but not limited to, acreage, square footage, frontage, and mapping boundary lines shared herein has not been independently verified and is for purposes of marketing only. If exact measurements, access to property, or access to utilities is a concern, the property should be independently measured or investigated by the prospective buyer.
COOPERATING BROKER COMPENSATION: Please contact Listing Agent/Broker for terms of cooperating Buyer Broker compensation. Terms of compensation, if any, shall be ascertained by cooperating brokers before beginning efforts to accept the offer of cooperation. Buyer’s Agents/Brokers must be identified, by Buyers and/or their Brokers/Agents, on the first contact with Listing Broker/Agents to receive compensation. Otherwise, compensation will be at the sole discretion of the Seller, Broker, and Whitetail Properties Real Estate, LLC.
Real Estate Commissions and Cooperating Broker Compensation, if any, are fully negotiable and is not fixed or controlled by law, by Whitetail Properties Real Estate, LLC (or any division/trade name/DBA of), or its Agents/Brokers.