Hunting Land W/Building Lot, Woods, Stream, Pond & Fields
Media
Summary
Property
- Type
- Farms, Recreational Land, Hunting Land
- Road Frontage
- County Road
- Road Surface
- Pavement
Features/Improvements
- Big Game
- Waterfowl
- Upland Game
- Small Game
- Trail Network
- Seller's Mineral Rights Convey
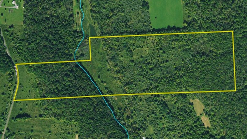
Description
PRICE REDUCED! This is a great opportunity to buy an affordable hunting property with a nice potential building lot. The property features a camping area with a shooting range, along with a stream, beaver pond, woods, and open fields to attract and hold whitetail deer, wild turkey, grouse, and other small local wildlife in its diverse habitat. The property is located on a year-round maintained paved road with electricity at the road and offers a level area that could be used for camping, building a cabin, or a year-round home. Behind this area is a ridge with a ravine, offering an attractive area for wild turkeys, which drops down to a stream and beaver pond. Crossing the stream by foot or ATV then leads to multiple trails providing access throughout the property. Further up the next slope, a clearing with a camping area, fire pit, and a target shooting range nearby. The diverse habitat features apple trees and mixed hardwoods, including oak providing apples and acorn mast, attracting the whitetail and other wildlife for feed and brushy cover for bedding. Several deer were jumped when walking the property, and deer sign was evident along the stream bed. In addition to the outdoor activities this property offers the new owner, the property is located 4 miles from the Whitney Point Multiple Use Area with 4645 acres offering additional hunting, fishing, camping as well as trails for hiking, mountain biking & cross-country skiing. The renowned Otselic River to the east and the Tioughnioga River is to the west of this property. Both offer excellent fishing for Brown trout, brook trout, smallmouth bass, and walleye, among other species. Winter sports in this area include snowmobiling on the many state & local trail systems nearby. Downhill skiing & snowboarding in the winter at the Greek Peak Mountain Resort, only 18 minutes away. While in the summer, zip-lining, Sky Tours & mountain coaster rides are available as well. A public boat launch, beach, and picnic area are available within 11 minutes at Dorchester Park, located on the Whitney Point Reservoir, a 3168-acre man-made pristine lake, offering outstanding fishing, boating, and swimming. Amenities and shopping are available in Marathon, only 5 miles away, or Whitney Point, located just 7.5 miles away. More shopping, restaurants & entertainment is available in Cortland, just 25 minutes away, while Binghamton is a little over a half-hour. New York City/George Washington Bridge is a 3-hour 10-minute drive. Don't miss this opportunity to own this nice property in a convenient location and area renowned for whitetail hunting and outdoor recreation.
The information contained herein is deemed reliable but is not warranted or guaranteed by the Broker, its Agents, or the Seller. Access to property, access to utilities, or any measurements including but not limited to, acreage, square footage, frontage, and mapping boundary lines shared herein has not been independently verified and is for purposes of marketing only. If exact measurements, access to property, or access to utilities is a concern, the property should be independently measured or investigated by the prospective buyer.
COOPERATING BROKER COMPENSATION: Please contact Listing Agent/Broker for terms of cooperating Buyer Broker compensation. Terms of compensation, if any, shall be ascertained by cooperating brokers before beginning efforts to accept the offer of cooperation. Buyer’s Agents/Brokers must be identified, by Buyers and/or their Brokers/Agents, on the first contact with Listing Broker/Agents to receive compensation. Otherwise, compensation will be at the sole discretion of the Seller, Broker, and Whitetail Properties Real Estate, LLC.
Real Estate Commissions and Cooperating Broker Compensation, if any, are fully negotiable and is not fixed or controlled by law, by Whitetail Properties Real Estate, LLC (or any division/trade name/DBA of), or its Agents/Brokers.
Sold Property
For more information or to see additional properties currently for sale see Josh Buell's listings.