Early Successional Habitat With Nice Hunting Potential
Media
Summary
Property
- Type
- Recreational Land, Undeveloped Land, Hunting Land
Features/Improvements
- Surface Only
Description
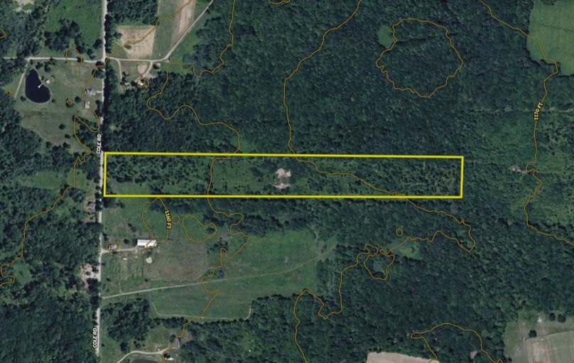
Price Adjusted! If you’re looking for a property with the right ingredients to develop into a solid hunting and recreation tract, this one deserves a look. The property was heavily logged several years ago, resulting in scattered young trees and thick natural regeneration throughout. That regrowth has created dense cover and abundant browse, providing the kind of early successional habitat deer are naturally drawn to.
The layout of the property appears to act as a natural funnel for wildlife movement, offering strong potential for strategic stand locations with the right planning and improvements. A couple of small openings exist and, with some clearing and work, could be expanded into secluded food plot locations. A very small seasonal stream runs through the property, adding a natural water source and additional habitat diversity.
This tract is best suited for someone looking to shape and develop their own hunting setup. With thick cover, natural movement corridors and food and water potential, it offers a strong foundation for building a productive recreational property over time. The seller is reserving all oil, gas and mineral rights which are subject to a current lease. All potential buyers must be accompanied by a licensed agent for showings. Reach out to the listing agent with any questions or to schedule your private tour!
Details
-
Heavily logged in recent years creating dense regeneration and cover
-
Excellent early successional habitat for deer and wildlife
-
Appears to function as a natural funnel for wildlife movement
-
Small existing openings with food plot development potential
-
Very small seasonal stream
-
Ideal for hunting and recreational use
Other
Coordinates
41.7193, -80.4108
Annual Taxes
$300
The information contained herein is deemed reliable but is not warranted or guaranteed by the Broker, its Agents, or the Seller. Access to property, access to utilities, or any measurements including but not limited to, acreage, square footage, frontage, and mapping boundary lines shared herein has not been independently verified and is for purposes of marketing only. If exact measurements, access to property, or access to utilities is a concern, the property should be independently measured or investigated by the prospective buyer.
COOPERATING BROKER COMPENSATION: Please contact Listing Agent/Broker for terms of cooperating Buyer Broker compensation. Terms of compensation, if any, shall be ascertained by cooperating brokers before beginning efforts to accept the offer of cooperation. Buyer’s Agents/Brokers must be identified, by Buyers and/or their Brokers/Agents, on the first contact with Listing Broker/Agents to receive compensation. Otherwise, compensation will be at the sole discretion of the Seller, Broker, and Whitetail Properties Real Estate, LLC.
Real Estate Commissions and Cooperating Broker Compensation, if any, are fully negotiable and is not fixed or controlled by law, by Whitetail Properties Real Estate, LLC (or any division/trade name/DBA of), or its Agents/Brokers.