Conneaut Creek Recreational Land Near Albion PA
New
Media
Summary
Property
- Type
- Recreational Land, Undeveloped Land, Hunting Land
Features/Improvements
- Seller's Mineral Rights Convey
Description
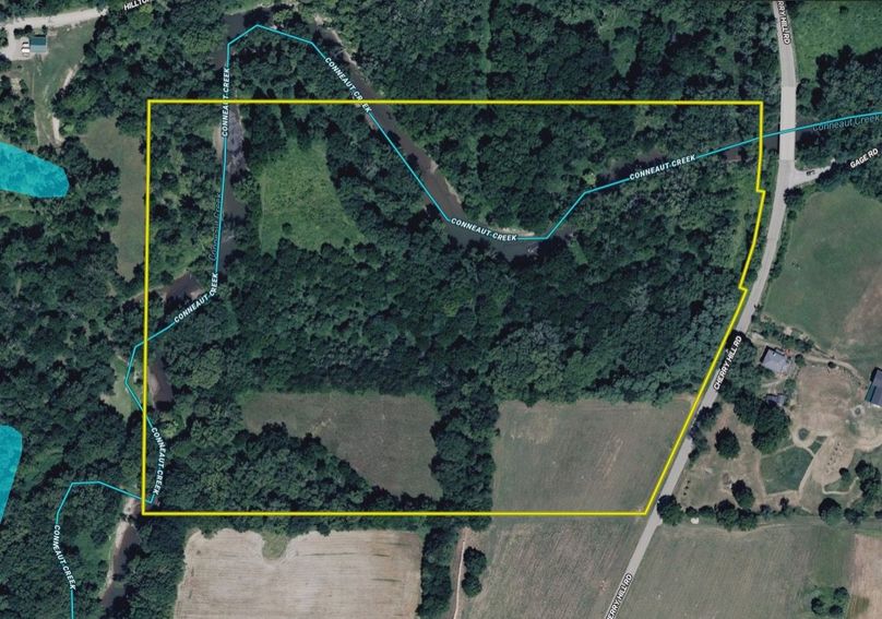
Price Adjusted! Located just outside of Albion, this small recreational property offers a strong combination of water access, wildlife activity and build potential. With frontage along Conneaut Creek, the property provides direct access to a well-known fishery, recognized for seasonal steelhead and the presence of musky. The creek also supports additional recreational use, including kayaking and canoeing.
The land naturally functions as a wildlife travel corridor, with multiple well-used deer trails visible throughout the property. Surrounding agricultural fields help support consistent wildlife movement, while the mix of open woods and thicker cover creates a balanced habitat.
Several secluded areas could be utilized for small food plots to further enhance wildlife activity. A usable trail system allows for easy access across the property, adding to its overall functionality and making it simple to navigate.
In addition to its recreational appeal, the property offers multiple potential secluded locations for future home or cabin site. These areas provide privacy while maintaining accessibility and proximity to the creek.
This is a well-rounded tract offering creek frontage, habitat diversity and building potential in a manageable size, all within close proximity to Albion. Any/All seller owned oil, gas and mineral rights will convey to the buyers. No testing has been done for well or septic. All buyers must be accompanied by their agent for showings. If you have any additional questions or to schedule your personal tour, please reach out to the listing agent.
Details
-
Conneaut Creek frontage
-
Known steelhead and musky fishery
-
Suitable for kayaking and canoeing
-
Natural wildlife travel corridor
-
Heavy deer sign throughout
-
Secluded areas for potential food plots
-
Neighboring agricultural fields enhance wildlife activity
-
Established internal trail system
-
Secluded potential building locations
Other
Coordinates
41.8989, -80.3765
Annual Taxes
$275
The information contained herein is deemed reliable but is not warranted or guaranteed by the Broker, its Agents, or the Seller. Access to property, access to utilities, or any measurements including but not limited to, acreage, square footage, frontage, and mapping boundary lines shared herein has not been independently verified and is for purposes of marketing only. If exact measurements, access to property, or access to utilities is a concern, the property should be independently measured or investigated by the prospective buyer.
COOPERATING BROKER COMPENSATION: Please contact Listing Agent/Broker for terms of cooperating Buyer Broker compensation. Terms of compensation, if any, shall be ascertained by cooperating brokers before beginning efforts to accept the offer of cooperation. Buyer’s Agents/Brokers must be identified, by Buyers and/or their Brokers/Agents, on the first contact with Listing Broker/Agents to receive compensation. Otherwise, compensation will be at the sole discretion of the Seller, Broker, and Whitetail Properties Real Estate, LLC.
Real Estate Commissions and Cooperating Broker Compensation, if any, are fully negotiable and is not fixed or controlled by law, by Whitetail Properties Real Estate, LLC (or any division/trade name/DBA of), or its Agents/Brokers.