Land For Development Near Columbus And Interstate 65; Industrial, Commercial, Residential, Agricultural
New
Media
Summary
Property
- Type
- Farms, Recreational Land, Residential Land, Timberland, Undeveloped Land, Commercial Land, Hunting Land
- Road Frontage
- County Road
- Road Surface
- Blacktop/Asphalt
Land Details
- Timber
- Tillable
- Open
Approximate Distances
| 6 mi | to Columbus |
| 15 mi | to Seymour |
| 51 mi | to Indianapolis |
| 68 mi | to Louisville, KY |
| 98 mi | to Cincinnati, OH |
Utilities
| Electric: | Nearby |
| Water: | Nearby |
| Sewer: | Nearby |
Features/Improvements
- Small Game
- Big Game
- Waterfowl
- Seller's Mineral Rights Convey
Description
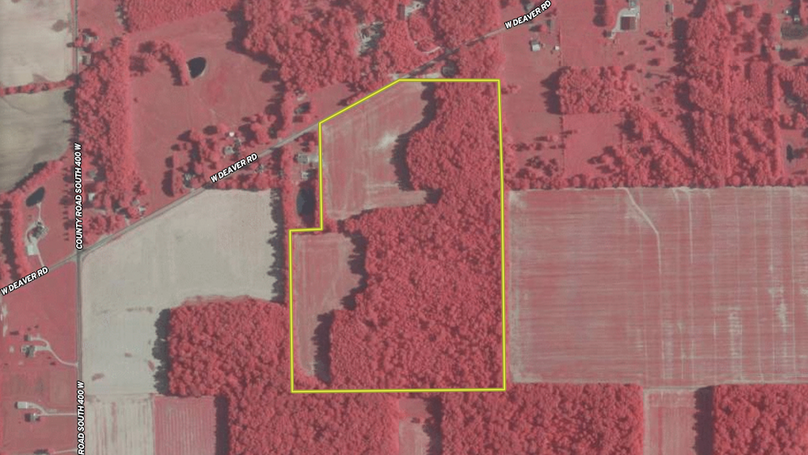
This versatile tract offers a rare combination of development potential, agricultural income, and recreational opportunity in a highly active growth corridor on the south side of the Columbus area. Ideally positioned near Interstate 65 and State Road 58, the property provides strong access for transportation and logistics, making it a viable option for industrial or commercial use. The location is surrounded by several established manufacturing and industrial operations, contributing to continued expansion and demand in the immediate area.
The property is not located within a floodplain and carries no known restrictions, allowing flexibility for a wide range of potential uses including industrial, commercial, residential, agricultural, or a mixed-use approach. It is also not located within city limits or a platted subdivision, giving buyers additional freedom when planning future improvements or development.
Approximately 21 acres are currently utilized as tillable ground, offering income-producing potential. This acreage may also provide opportunities for agricultural-related tax considerations, and buyers are encouraged to consult with a qualified tax professional regarding their specific situation. The balance of the property includes wooded acreage with mature timber and rolling terrain that supports a healthy wildlife habitat. Deer, turkey, and small game are regularly present, adding recreational value to the property.
In addition to its development potential, the land could lend itself to a future project that incorporates natural elements such as green space, trails, or conservation areas. This may appeal to businesses or developers looking to integrate outdoor features into a broader plan.
Utilities including electric, water, and sewer are available along the road frontage and are currently utilized by neighboring properties. Buyers should verify availability, capacity, and connection requirements based on their intended use.
Located approximately one hour from both Indianapolis and Louisville, this property sits in a strategic regional position that supports distribution, commuting, and long-term growth considerations. Whether for immediate use, phased development, or long-term investment, this tract presents a range of practical possibilities in a growing area.
Details
-
Located near Interstate 65 and State Road 58
-
South side of the Columbus area with ongoing development
-
No floodplain and no known restrictions
-
Not located within city limits or a subdivision
-
±21 acres of income-producing tillable ground
-
Additional wooded acreage with mature timber
-
Strong wildlife presence including deer and turkey
-
Utilities available at the road (electric, water, sewer)
-
Suitable for industrial, commercial, residential, or ag use
-
Approx. 1 hour to Indianapolis and Louisville
Area Info
Other
Coordinates
39.1441, -85.979
Annual Taxes
$931
The information contained herein is deemed reliable but is not warranted or guaranteed by the Broker, its Agents, or the Seller. Access to property, access to utilities, or any measurements including but not limited to, acreage, square footage, frontage, and mapping boundary lines shared herein has not been independently verified and is for purposes of marketing only. If exact measurements, access to property, or access to utilities is a concern, the property should be independently measured or investigated by the prospective buyer.
COOPERATING BROKER COMPENSATION: Please contact Listing Agent/Broker for terms of cooperating Buyer Broker compensation. Terms of compensation, if any, shall be ascertained by cooperating brokers before beginning efforts to accept the offer of cooperation. Buyer’s Agents/Brokers must be identified, by Buyers and/or their Brokers/Agents, on the first contact with Listing Broker/Agents to receive compensation. Otherwise, compensation will be at the sole discretion of the Seller, Broker, and Whitetail Properties Real Estate, LLC.
Real Estate Commissions and Cooperating Broker Compensation, if any, are fully negotiable and is not fixed or controlled by law, by Whitetail Properties Real Estate, LLC (or any division/trade name/DBA of), or its Agents/Brokers.