Wooded Buildable Property Adjacent To Public Forestry In South Central Indiana (Tract 3)
Media
Summary
Property
- Type
- Recreational Land, Residential Land, Timberland, Hunting Land
- Road Frontage
- County Road
- Road Surface
- Blacktop/Asphalt
Land Details
- Timber
Approximate Distances
| 18 mi | to Seymour |
| 27 mi | to Columbus |
| 33 mi | to Bloomington |
| 69 mi | to Indianapolis |
| 69 mi | to Louisville, KY |
Utilities
| Electric: | Nearby |
| Internet: | Nearby |
| Water: | Onsite |
Features/Improvements
- Small Game
- Big Game
- Predators
Description
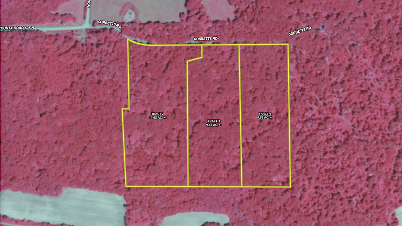
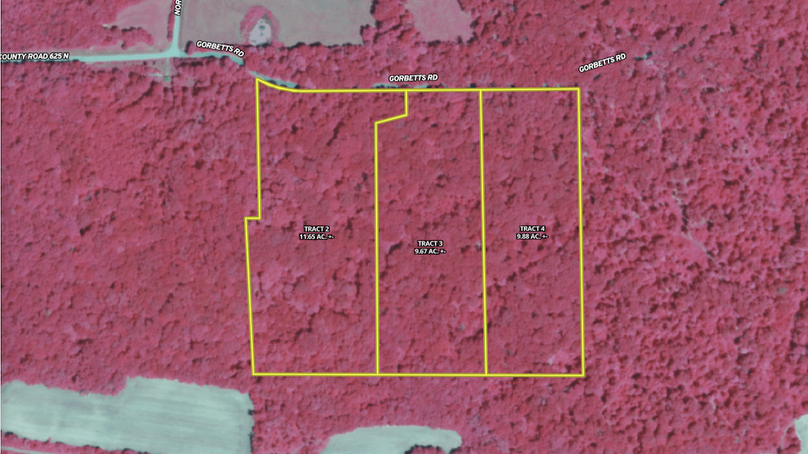
PRICE REDUCED! Tract 3, 9.67 ac. +- *. Wooded lots suited for new home construction, recreational use, or private camping remain highly desirable across south-central Indiana. There is approximately 31.2 acres +- total across this property in northwestern Jackson County available in its entirety or as three buildable tracts, each with wooded character and close access to Hoosier National Forest. The tracts are very close to public forest land, offering excellent potential for those seeking natural surroundings and quiet seclusion. The tracts are offered as follows: Tract 2 - 11.55 acres +-, Tract 3 - 9.67 acres +-, and Tract 4 - 9.88 acres +-. Each offers a blend of privacy, mature woods, and access to both utilities and recreation. Water and electric service are available at the road, along with fiber optic. Whether developed for a permanent residence, seasonal retreat, or recreational basecamp, this property supports a wide range of rural lifestyle goals. Situated just outside the town of Kurtz and minutes from Freetown, the location allows convenient access to Brownstown and Seymour in under 30 minutes, and to Nashville, Bedford, and Columbus in just over 40 minutes. Though peaceful and private, the property remains within reasonable distance of restaurants, services, and grocery options. The access road has been recently repaved, providing a scenic drive through wooded terrain. The nearby Hoosier National Forest offers thousands of acres of public land for hiking, biking, hunting, and exploration. The area is well known for its thriving deer and turkey populations, and this property shows strong signs of wildlife activity. Property shown by appointment only to pre-qualified buyers.
Details
-
Offered as whole 31.2 acres +- or 3 tracts
-
Mostly high ground and hilltop
-
Within 50 minutes of Columbus, Nashville, and Bedford
-
Within 30 minutes of Brownstown and Seymour
Area Info
Other
Coordinates
38.9637, -86.1934
Annual Taxes
$281
The information contained herein is deemed reliable but is not warranted or guaranteed by the Broker, its Agents, or the Seller. Access to property, access to utilities, or any measurements including but not limited to, acreage, square footage, frontage, and mapping boundary lines shared herein has not been independently verified and is for purposes of marketing only. If exact measurements, access to property, or access to utilities is a concern, the property should be independently measured or investigated by the prospective buyer.
COOPERATING BROKER COMPENSATION: Please contact Listing Agent/Broker for terms of cooperating Buyer Broker compensation. Terms of compensation, if any, shall be ascertained by cooperating brokers before beginning efforts to accept the offer of cooperation. Buyer’s Agents/Brokers must be identified, by Buyers and/or their Brokers/Agents, on the first contact with Listing Broker/Agents to receive compensation. Otherwise, compensation will be at the sole discretion of the Seller, Broker, and Whitetail Properties Real Estate, LLC.
Real Estate Commissions and Cooperating Broker Compensation, if any, are fully negotiable and is not fixed or controlled by law, by Whitetail Properties Real Estate, LLC (or any division/trade name/DBA of), or its Agents/Brokers.