Private Road And Recreational Retreat With Hunting Land And Cabin Site
Media
Summary
Property
- Type
- Recreational Land, Hunting Land
Approximate Distances
| 1.27 mi | to East Otto |
| 2.6 mi | to Ashford Hollow |
| 9.6 mi | to Ellicottville |
Utilities
| Electric: | Nearby |
Features/Improvements
- Small Game
- Big Game
- Seller's Mineral Rights Convey
Description
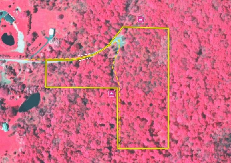
Tucked away in the hills of East Otto, this 10-acre hidden retreat offers the perfect blend of seclusion, natural beauty, and outdoor opportunity. Accessed by a newly constructed bridge and a private shared road, the property is surrounded by hardwoods that create an ideal setting for deer hunting, hiking, or simply enjoying the peace and quiet of nature. With an improved road you can drive on and locations for building and dense woods, it's an excellent site for building your dream getaway cabin or seasonal retreat. The land offers endless recreational use while still being conveniently located- just 1.27 miles from the charming hamlet of East Otto, 2.6 miles west of Ashford Hollow and Route 219, and only 9.6 miles north of the popular four-season destination of Ellicottville. Whether you're looking for a private hunting spot, a weekend escape, or a future cabin in the woods, this property combines accessibility with total privacy- an outdoor lover's dream. Call today for more details or to schedule a showing! ADDITIONAL INFORMATION: Timber and GMO rights convey, Pastures, New Bridge, Deer Hunting, Turkey Hunting, Electric at the end of the road, 1.27 miles to East Otto, 2.6 miles to Ashford Hollow, 9.6 miles to Ellicottville. Taxes $747. Buyer agent must be present on all showings. Do not send clients out without accompanying them. Disclaimer: Map illustrations are for reference purposes only and not the representations of the Listing agent or brokerage. Illustrations are provided by Land ID. Parties should be advised to confirm Illustrations with licensed professional service providers.
Details
-
10+/- acres in East Otto
-
New bridge and private shared road
-
Mature hardwoods throughout
-
Excellent deer and turkey hunting
-
Potential building locations
-
Pastures and dense woods
-
Electric available at road
-
Timber and GMO rights convey
Other
Coordinates
42.40609, -78.74179
Annual Taxes
$747
The information contained herein is deemed reliable but is not warranted or guaranteed by the Broker, its Agents, or the Seller. Access to property, access to utilities, or any measurements including but not limited to, acreage, square footage, frontage, and mapping boundary lines shared herein has not been independently verified and is for purposes of marketing only. If exact measurements, access to property, or access to utilities is a concern, the property should be independently measured or investigated by the prospective buyer.
COOPERATING BROKER COMPENSATION: Please contact Listing Agent/Broker for terms of cooperating Buyer Broker compensation. Terms of compensation, if any, shall be ascertained by cooperating brokers before beginning efforts to accept the offer of cooperation. Buyer’s Agents/Brokers must be identified, by Buyers and/or their Brokers/Agents, on the first contact with Listing Broker/Agents to receive compensation. Otherwise, compensation will be at the sole discretion of the Seller, Broker, and Whitetail Properties Real Estate, LLC.
Real Estate Commissions and Cooperating Broker Compensation, if any, are fully negotiable and is not fixed or controlled by law, by Whitetail Properties Real Estate, LLC (or any division/trade name/DBA of), or its Agents/Brokers.