Great Hunting Property In Southeast Indiana With Pasture Income
Media
Summary
Property
- Type
- Recreational Land, Residential Land, Timberland, Hunting Land
- Road Frontage
- County Road
- Road Surface
- Blacktop/Asphalt
Land Details
- Pasture
- Timber
- Tillable
- Hay
Approximate Distances
| 14 mi | to Versailles |
| 16 mi | to Vevay |
| 19 mi | to Madison |
| 55 mi | to Cincinnati, OH |
| 67 mi | to Louisville, KY |
| 90 mi | to Indianapolis |
Utilities
| Electric: | Nearby |
| Water: | Nearby |
Features/Improvements
- Small Game
- Big Game
- Predators
- Trail Network
- Seller's Mineral Rights Convey
Description
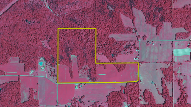
Great pastures and wooded rolling hills await this new opportunity in Southeast Indiana. The same family has owned this property for over 150 years. Not far from State Road 129, this property has approximately 3,400 ft. of road frontage. The current pastures are approximately 30 acres, and the remaining 50 acres are wooded. Patriot water and REMC electric are available at the road. A full-size pickup can drive on wide-maintained roads throughout the wooded acreage. The wooded acreage recently had a selective timber harvest, and the work was cleaned up beautifully. The remaining treetops are scattered and make excellent deer bedding. The current farmer has stated he would like to continue utilizing the pastures for hay, which could be a great income opportunity. Plenty of hilltop buildable space on the fields, and the property could easily be split down the road if future owners ever wanted to do so for extra cash. The property is just south of Versailles and north of Vevay, so access to and travel to each is pretty straightforward. Public land hunting opportunities are nearby at Splinter Ridge FWA, and park hunt drawings for Versailles State Park and Big Oaks National Wildlife Refuge. Eastern Jefferson County and Switzerland County are known for great deer populations and age structures. The property could make a great hunting property, building lot, commercial agribusiness, or other operation requiring much physical space. Property shown by appointment only to pre-qualified buyers.
The information contained herein is deemed reliable but is not warranted or guaranteed by the Broker, its Agents, or the Seller. Access to property, access to utilities, or any measurements including but not limited to, acreage, square footage, frontage, and mapping boundary lines shared herein has not been independently verified and is for purposes of marketing only. If exact measurements, access to property, or access to utilities is a concern, the property should be independently measured or investigated by the prospective buyer.
COOPERATING BROKER COMPENSATION: Please contact Listing Agent/Broker for terms of cooperating Buyer Broker compensation. Terms of compensation, if any, shall be ascertained by cooperating brokers before beginning efforts to accept the offer of cooperation. Buyer’s Agents/Brokers must be identified, by Buyers and/or their Brokers/Agents, on the first contact with Listing Broker/Agents to receive compensation. Otherwise, compensation will be at the sole discretion of the Seller, Broker, and Whitetail Properties Real Estate, LLC.
Real Estate Commissions and Cooperating Broker Compensation, if any, are fully negotiable and is not fixed or controlled by law, by Whitetail Properties Real Estate, LLC (or any division/trade name/DBA of), or its Agents/Brokers.
Sold Property
For more information or to see additional properties currently for sale see Brad Garrison's listings.