Beautiful Secluded Barndominium On Timber/CRP Farm In Livingston County
Media
Summary
Property
- Type
- Farms, Recreational Land, Timberland, Hunting Land
- Road Frontage
- County Road
- Road Surface
- Gravel
- Outbuildings
- Metal, Shop
Land Details
- Timber
- Enrolled in Government Program
Housing
Cabin
3BD / 1BA 1400± sqft Built in 2017Features/Improvements
- Small Game
- Big Game
- Upland Game
- Predators
- Fish
- Internal Road System
- Gated Entrance
Description
Welcome to this hidden treasure of a hunting/recreational farm! Located a mere 7 miles northwest of Chillicothe lies what might be the quietest hunting farm I have ever been on. As you arrive at the end of the dead-end gravel road, you come to the gated entrance. Through the entrance, you travel down the long, winding, well-established driveway and arrive at the beautiful cabin! The cabin/barndominium was built in 2017 by Jamesport Builders and is very nicely finished. The building is 30ft X 80ft in total. The living space is approximately 30ft X 32ft with a loft of 30ft X 16ft. The main floor consists of a main room where the kitchen, dining and living room are one open area. There is also the main bedroom, bathroom and laundry room on the main floor. The open staircase takes you to the loft that consists of two identical bedrooms. The remainder of the building is approximately 30ft X 48ft and storage for your toys, equipment and workshop. This portion has a 14ft wide door that is large enough to fit your equipment or even a camper. The barndominium is off-grid; however, you will never know it. There is a propane-powered generator that powers the entire building. Once you arrive, simply start the generator and instantly you have power. There is a buried water tank to which you can haul water and/or catch water off the roof. A water pump in the utility room supplies water pressure throughout the cabin.
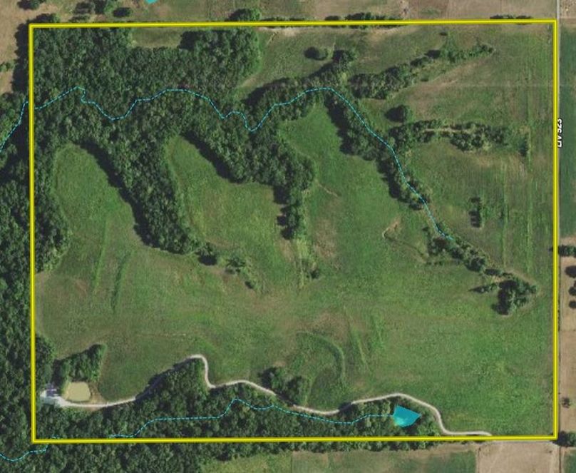
This 130-acre +/- farm consists of a good balance of CRP and timber mix. There are 79.38 acres currently enrolled in CRP, boasting a payment of $214.83/acre! That is an annual payment of $17,053! The CRP contract runs through 2027. The timber is a good mix of hardwoods, walnuts, various species of oaks and a strong population of hickories. The majority of the timber is bigger and would make for great timber hunts. The layout of the farm is ideal for hunting. The thick CRP provides great bedding for deer and timber stretches out into the CRP in several draws, providing several stand locations. This area is particularly known for producing great deer and has a very strong turkey population. There is also a pond that sits directly in front of the cabin. The pond is stocked with fish and is ready for fishing and swimming.
This farm checks all the boxes for the ultimate recreational/hunting farm. It features timber, CRP, a beautiful cabin, pond and income. All of this and it is located in an area where land rarely comes up for sale. This farm is ready for you and your family to start making memories. Call with questions or to schedule a showing.
The information contained herein is deemed reliable but is not warranted or guaranteed by the Broker, its Agents, or the Seller. Access to property, access to utilities, or any measurements including but not limited to, acreage, square footage, frontage, and mapping boundary lines shared herein has not been independently verified and is for purposes of marketing only. If exact measurements, access to property, or access to utilities is a concern, the property should be independently measured or investigated by the prospective buyer.
COOPERATING BROKER COMPENSATION: Please contact Listing Agent/Broker for terms of cooperating Buyer Broker compensation. Terms of compensation, if any, shall be ascertained by cooperating brokers before beginning efforts to accept the offer of cooperation. Buyer’s Agents/Brokers must be identified, by Buyers and/or their Brokers/Agents, on the first contact with Listing Broker/Agents to receive compensation. Otherwise, compensation will be at the sole discretion of the Seller, Broker, and Whitetail Properties Real Estate, LLC.
Real Estate Commissions and Cooperating Broker Compensation, if any, are fully negotiable and is not fixed or controlled by law, by Whitetail Properties Real Estate, LLC (or any division/trade name/DBA of), or its Agents/Brokers.
Sold Property
For more information or to see additional properties currently for sale see Travis Heman's listings.