Hilltop Farm - 35 Acres In Town Bluff
Media
Summary
Property
- Type
- Farms, Recreational Land, Hunting Land
- Road Frontage
- State Highway
- Road Surface
- Blacktop/Asphalt
- Fencing
- Low
Land Details
- Timber
- Grass
- Pond
Approximate Distances
| 12 Mi | to Woodville |
| 23 Mi | to Jasper |
| 44 Mi | to Livingston |
| 39 Mi | to Lumberton |
| 55 Mi | to Beaumont |
| 106 Mi | to Houston |
| 112 Mi | to Lake Charles |
Utilities
| Electric: | Nearby |
Features/Improvements
- Small Game
- Big Game
- Surface Only
- Predators
- Creek/Spring
- Tree Stands/Blinds
- Trail Network
- Internal Road System
- Gated Entrance
Description
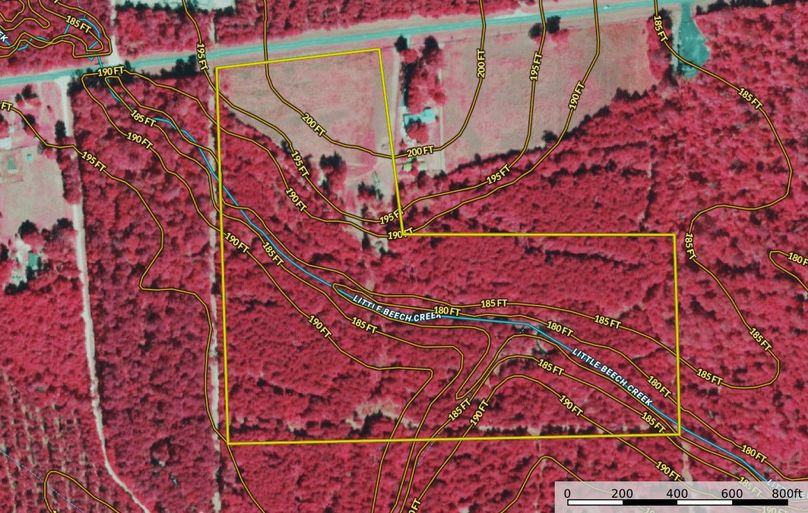
Hilltop Farm is a 35 +/- Acre GEM located in Tyler County, just outside of Town Bluff. With approximately 600 feet of frontage on FM 1746 and a culvert with double-gated access already in place, this property is both easily accessible and well-positioned for multiple land uses.
The farm consists of approximately 5 acres of cleared and fenced pasture situated on an elevated hilltop, ideal for grazing livestock or future building considerations. The remaining 30± acres are comprised of merchantable pine and hardwood timber, offering potential for future timber harvest or wildlife habitat management. According to FEMA flood maps, the tract lies entirely outside the floodplain.
Little Beech Creek runs through the farm, providing a seasonal water source and enhancing wildlife movement. In addition to the creek, there are two small ponds located on the land, further supporting habitat diversity and offering opportunities for fishing or livestock watering.
The land features a gently rolling topography with miles of internal trails throughout, making it easy to navigate on foot, ATV, or utility vehicle. These trails provide access for hunting, recreation, or timber inspection. The mix of open and wooded areas, along with nearby water sources, contributes to strong wildlife presence. Hilltop Farm lies less than half a mile from the Big Thicket National Preserve, a federally protected area known for its biodiversity and game animal populations, which may increase the recreational appeal of this tract.
Utilities include electric at the road. A private water well will be needed for domestic use. With road frontage, access, established pasture, merchantable timber, and a natural water source, this tract is suitable for a range of uses. Whether you desire full time residential, weekend recreation, hunting, timber investment, or small-scale agriculture operation, Hilltop Farm checks all the boxes. Escape the city and come see what rural living is all about!
Details
-
30 acres of merchantable pine and hardwood timber
-
5 acres cleared and fenced pasture on the hill
-
2 small ponds
-
Culvert installed with double gates
-
Less than 1/2 mile from Big Thicket National Preserve
-
Miles of trails throughout the property
-
Excellent Hunting
-
Infrastructure in place
-
Escape the city
Area Info
Other
Coordinates
30.7844, -94.2173
The information contained herein is deemed reliable but is not warranted or guaranteed by the Broker, its Agents, or the Seller. Access to property, access to utilities, or any measurements including but not limited to, acreage, square footage, frontage, and mapping boundary lines shared herein has not been independently verified and is for purposes of marketing only. If exact measurements, access to property, or access to utilities is a concern, the property should be independently measured or investigated by the prospective buyer.
COOPERATING BROKER COMPENSATION: Please contact Listing Agent/Broker for terms of cooperating Buyer Broker compensation. Terms of compensation, if any, shall be ascertained by cooperating brokers before beginning efforts to accept the offer of cooperation. Buyer’s Agents/Brokers must be identified, by Buyers and/or their Brokers/Agents, on the first contact with Listing Broker/Agents to receive compensation. Otherwise, compensation will be at the sole discretion of the Seller, Broker, and Whitetail Properties Real Estate, LLC.
Real Estate Commissions and Cooperating Broker Compensation, if any, are fully negotiable and is not fixed or controlled by law, by Whitetail Properties Real Estate, LLC (or any division/trade name/DBA of), or its Agents/Brokers.